The Battle of Jutland was the largest naval battle and the only full-scale clash of battleships in the First World War. For years the myriad factors contributing to the loss of many of the ships remained a mystery, subject only to speculation and theory.
In this book, marine archaeologist and historian Dr Innes McCartney reveals for the first time what became of the warships that vanished on the night of 31st May 1916, examining the circumstances behind the loss of each ship and reconciling what was known in 1916 to what the archaeology is revealing today.
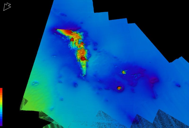
The knowledge of what was present was transformed in 2015 by a groundbreaking survey using the modern technology of multi-beam. This greatly assisted in unravelling the details behind several Jutland enigmas, not least the devastating explosions which claimed five major British warships, the details of the wrecks of the 13 destroyers lost in the battle and the German warships scuttled during the night phase.
This is the first book to identify the locations of many of the wrecks, and – scandalously – how more than half of these sites have been illegally plundered for salvage, despite their status as war graves.
An essential and revelatory read for anyone interested in naval history and marine archaeology.
Jutland 1916: The Archaeology of a Naval Battle

In the century that has passed since the Battle of Jutland, underwater discoveries along the Danish coast have led to the 25 warships lost in action gradually returning to us from the pages of history, to come back as extant memorials to the greatest naval battle of World War One.
Over the past 17 years nautical archaeologist and historian Innes McCartney has been instrumental in the finding, recording, identification and interpretation of these shipwrecks, discovering that they offer valuable new insights into the battle itself.

This book examines the circumstances behind the loss of each ship and reconciles what was known in 1916 to what the archaeology is revealing today. The knowledge of what was present was transformed in 2015 by a groundbreaking survey using the modern technology swath bathymetry (or multibeam).
This greatly assisted in unravelling the details behind several Jutland enigmas, not least the devastating explosions which claimed five major British warships, the details of the wrecks of the 13 destroyers lost in the battle and the German warships scuttled during the night phase.
When viewed collectively, the battlefield can now be accurately mapped for the first time. This has shown that the Royal Navy’s Harper Record compiled in 1919, is a consistently accurate depiction of events for nearly all of the battle.
The surveys of the wrecks have also revealed that over half of the sites have been subject to illegal salvage for profit and that this process has been accelerating over the last decade.
